はろーはろーハイサイめんそーれ!
本日は海が時化ていたため、北部へスノーケリングツアー行ってきました。
場所は

みんな大好きGORILLA CHOP。
ここ、ただの慶良間の代替ポイントと思うことなかれ
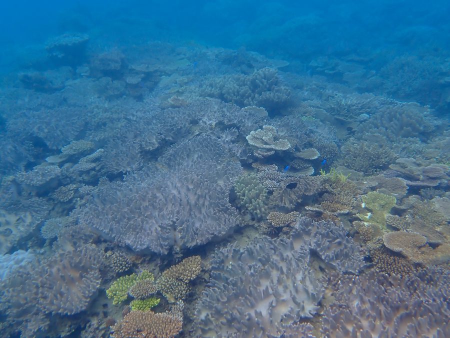
他のポイントなら濁ってるだろうな〜って日でも、透明度は文句なし。
さらに、水深2-3mほどにサンゴがビッチリ群生。
南国らしいカラフルなお魚もたくさんいて、かなりのポテンシャルを秘めたポイントであります。

ほらね。ドヤァ
ちなみに僕が沖縄に移住してきて初めて泳いだ海がココ、ゴリチョでした。
感動して涙が5Lくらい出ました。
今は慣れてきたので、1.5Lくらいです。


今日のゲスト様も、存分にThe・沖縄の海!!
を楽しんで頂けたんじゃないでしょーか!
ちなみに、ここには綺麗なトイレとシャワー施設もありますので快適なビーチスノーケリングが楽しめますよー♪
船酔いが心配な人には、慶良間より快適だったり。笑

最後は聖地巡礼。ゴリラ岩。
チョーーーーップ!!!


